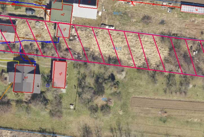
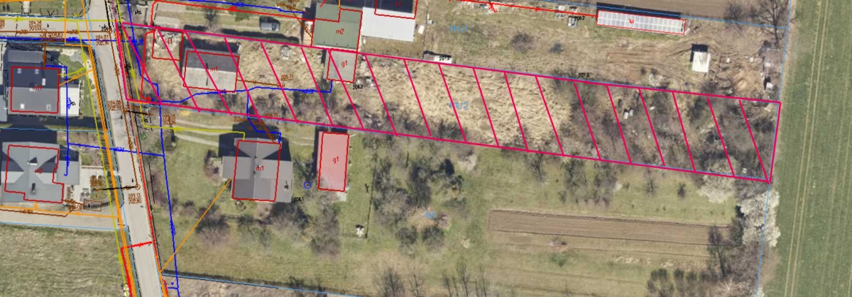
Działka budowlana z zabudowaniami do rozbiórki.
cena: 160000 złDziałka Sprzedam
lubelskie Krasnystaw Zastawie
Kontakt
609 ... ... Pokaż numer
609 ... ... Pokaż numer
Wyślij wiadomość
Działka budowlana z dwoma budynkami w złym stanie technicznym do rozbiórki, położona w ścisłej zabudowie mieszkaniowej jednorodzinnej w dzielnicy Krasnegostawu Zastawie Przedmieście przy ulicy Łukasińskiego w pobliżu pól uprawnych na lekkim zboczu, w kształcie długiego prostokąta. Działka posiada doprowadzone media (prąd, woda z wodociągu miejskiego, możliwość podpięcia się pod sieć gazową z przebiegającego tam gazociągu). Istnieje również możliwość podłączenia się do kanalizacji miejskiej. Zapraszam do prezentacji.
Data dodania: 2026-03-04 15:28
Data modyfikacji: 2026-04-08 11:47


